Default sidemenu image
Search

Leave a Message

Thank you for your message. We will be in touch with you shortly.

Explore Our Properties

Property Description

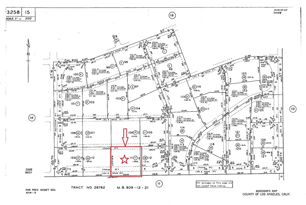
Beautiful 2.5 Acre parcel of land fronting Ave C and 153rd St W. Located in the community of Fairmont in West Lancaster,
Antelope Valley, Los Angeles County.
The size is 328'x 333' flat land, Nice panoramic views all round, North of 138 HWY (Ave D)
Zoning is LCA12; Agricultural/ Residential land in the path of growth. many existing solar ranches around in the area.
GPS: 34.789955, -118.402945;
APN#3258-015-017;

Overview

Property Status
Sold
Lot Size
2.5 Acres
MLS ID
PW24012460
Property Type
Land

Features & Amenities

Neighborhood
Los Angeles County
View Description
Mountain(s), Panoramic
Water Source
None
Utilites
Water Not Available
Lot Features
Agricultural, Lot Over 40000 Sqft, Level, Rectangular Lot
Sales Price
$11,000
Zoning
LCA12*

Downloads

0 Ave C/ 153 St.W

Schedule a Tour

I would love to help you see this beautiful home! As a full-service brokerage, we can help you tour. Please submit an offer, and answer questions about the buying process.

Enter a valid email

Thank you

for your interest in 0 Ave C/ 153 St.W, Lancaster, CA 93536

back to page
0 Ave C/ 153 St.W
Navigate

I'm Interested In

0 Ave C/ 153 St.W

or
  • CallAmir Maloumi

    License #01922541

    714-818-3667
  • Follow Us On Instagram